< Back to Projects

Pharmaceutical Repackaging Plant

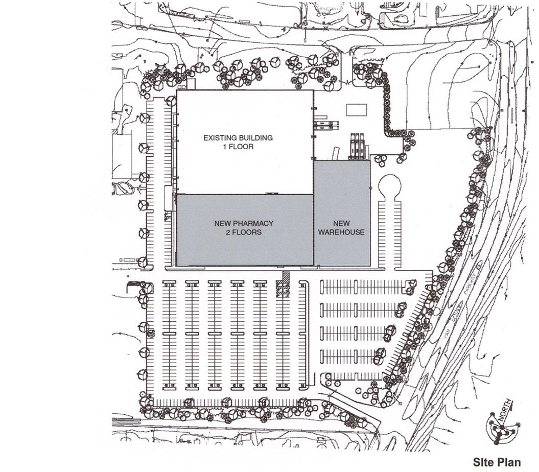
Pharmaceutical distribution center.

Client: Merck Medco Managed Care LLC
Responsibility: Project Architect
Location: Willingboro Town Center, Willingboro, N.J.
Building Type: Industrial
Area: 264,000 s.f.
Cost: $6,875,000
Status: Opened in 2001
Click here for Construction Documents.

Renovation of an abandoned 125,000 sq. ft. store and addition of 108,950 sq. ft. for a pharmaceutical packaging and distribution shell.

Architect of Record: Meridian Design Associates, Architects, P.C.

admin